Telluronevskit

Formel:   

Bi3TeSe2                                                                                                                (2.DC.05; Tetradymit-Gruppe)

Ausbildung:

trigonales Kristallsystem; stahlgrau, schwarz; Metallglanz; massive Aggregate mit bis zu mehreren Millimeter Durchmesser und/oder einzelne disseminierte tafelige Kristalle.

Entdeckung:   

IMA 1993-027a; 2001 - Ridkosil & Skala & Johan & Srein. Der Name des Minerals bezieht sich auf die chemische Zusammensetzung, das Element Tellur und die chemische Ähnlichkeit mit dem Mineral Nevskit.

Typlokalität: 

Slowakei, Košický kraj, Okres Michalovce, Poruba pod Vihorlatom (Nickelsdorf), Quarzitaufschlüsse.

Seltenheit:

höchst selten                                                                                          (mineralienatlas: 3 / mindat: 3 Lokalitäten; 2026).

 

 

Telluronevskit (mit Vihorlatit verwachsen) in Quarz-Ton-Matrix

Poruba pod Vihorlatom (Nickelsdorf), Michalovsce, Kosický kraj, Slowakei (TL)

Stufe: 4,2 x 3,2 cm

 

 

Telluronevskit

Detail der links abgebildeten Stufe

Bildbreite: 7 mm

 

 

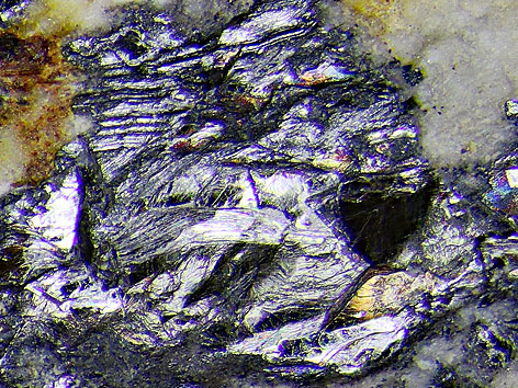
plattige Telluronevskit xx

Detail der oben links abgebildeten Stufe

Bildbreite: 3 mm

 

                                                                                                        

Quellen: Sammlung und Fotos Matthias Kahl; allg. Mineralbeschreibung nach Mineralienatlas.de, Mindat.org, Handbook of Mineralogy, DeWikipedia und/oder Lapis-Mineralienmagazin

© copyright Matthias Kahl